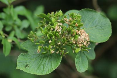
Viburnum lantana L., 1753

Viburnum lantana L., 1753


territoire maillé

territoire maillé

territoire maillé

Nom français :

Viorne mancienne

Lien(s) :

Telabotanica Tela Botanica
CBNBP CBNBP

Facebook Linkedin email logo INPN logo OpenObs

Statuts
  • France LC
  • Region LC
  • AC
  • CC
Phénologie (période d'activité)
Chargement des informations...

Chargement des informations...

Carte de répartition
Chargement des informations...

Chargement des informations...

Répartition communale - Viburnum lantana en Eure et Loir Données saisies au 12/04/2026


Chargement de la carte...

Chargement de la carte...

Choix de la carte


Légende


Observation en 2026
Dernière observation à partir de 2010
Dernière observation entre 2000 et 2009
Dernière observation entre 1990 et 1999
Dernière observation entre 1980 et 1989
Dernière observation avant 1980

Cartographie - Viburnum lantana (uniquement pour les observations à diffusion précise)


Chargement de la carte...

Chargement de la carte...

Statuts - Viburnum lantana


Viburnum lantana - Nombre d'observations par décade Données saisies au 12/04/2026 (Observé vivant)


Chargement du graph...

Chargement de la phénologie...

Liste des observateurs et observatrices

Chargement de la liste...

Informations diverses


Etat biologique

Type de contact

Chargement ...

Prospection

Photos de Viburnum lantana


Interaction


Taxonomie - Viburnum lantana [129083]