Relevé n° 65111

Informations

Source : Terrain
Type de donnée : Publique

Date : 07/03/2026

Localisation

Route de la Maricardière - Saint-Bomer (28)
Précision à l'échelle du point (x/y)

Observateur(s) (Indépendant)

avatar Colette CENSE, avatar Thierry CENSE

Liste des espèces (55)

Autres insectes (3)

Agromyzidae (1)

Bibionidae (1)

Bombyliidae (1)

Coléoptères (3)

Anthicidae (1)

Coccinellidae (1)

Meloidae (1)

Hyménoptères (1)

Cynipidae (1)

Hémiptères (1)

Coreidae (1)

Oiseaux (1)

Tytonidae (1)

Papillons (1)

Pieridae (1)

Plantes (44)

Amaryllidaceae (1)

Apiaceae (1)

Aquifoliaceae (1)

Araceae (1)

Araliaceae (1)

Aspleniaceae (1)

Asteraceae (6)

Betulaceae (1)

Caprifoliaceae (1)

Caryophyllaceae (2)

Crassulaceae (1)

Euphorbiaceae (1)

Fabaceae (2)

Fagaceae (2)

Geraniaceae (2)

Lamiaceae (2)

Oleaceae (1)

Orchidaceae (1)

Plantaginaceae (3)

Polygonaceae (1)

Polypodiaceae (1)

Primulaceae (1)

Ranunculaceae (2)

Rosaceae (3)

Rubiaceae (1)

Salicaceae (1)

Santalaceae (1)

Saxifragaceae (1)

Urticaceae (1)

Reptiles (1)

Lacertidae (1)

Facebook Linkedin email

29 photos sur observation(s)

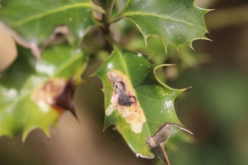
Agromyzidae

Phytomyza ilicis Phytomyza ilicis

Bibionidae

Bibio lanigerus Bibio lanigerus Bibio lanigerus

Bombyliidae

Bombylius major

Anthicidae

Anthicus antherinus Anthicus antherinus

Coccinellidae

Oenopia conglobata Oenopia conglobata

Meloidae

Meloe violaceus Meloe violaceus Meloe violaceus

Cynipidae

Andricus kollari Andricus kollari

Coreidae

Coreus marginatus

Tytonidae

Tyto alba

Aspleniaceae

Asplenium adiantum-nigrum Asplenium adiantum-nigrum

Crassulaceae

Sedum cepaea Sedum cepaea Sedum cepaea

Orchidaceae

Orchis mascula

Polypodiaceae

Polypodium vulgare Polypodium vulgare

Rosaceae

Potentilla sterilis Potentilla sterilis

Saxifragaceae

Saxifraga granulata

Lacertidae

Podarcis muralis