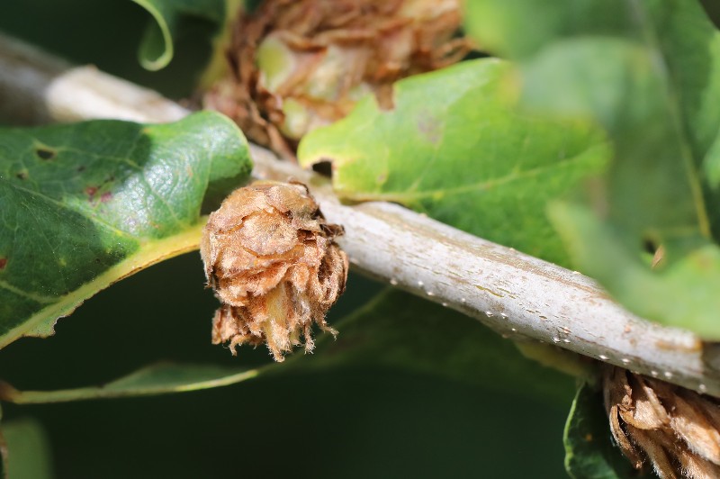
Observation n° 219068 Galle artichaut du chêne (Andricus fecundatrix)

Informations

Donnée considérée certaine, très probable

Source de la donnée : Terrain
Type de donnée : Publique

Date : 07/08/2024

Date de saisie : 08/08/2024

Localisation

Ballastière - Marboué (28)
Précision à l'échelle du point (x/y)

Observateur(s) (Indépendant)

avatar Colette CENSE

Détail de l'observation

Naturalité : Sauvage
- Adulte (Espèce présente)
Etat biologique : Non renseigné
Contact : Vu
Prospection : A vue
Statut biologique : Non renseigné
Comportement : Non renseigné
Déterminateur : Colette CENSE
Plante-hôte et/ou nourricière :
- Adulte 1 sur Quercus

UUID SINP : 27d76731-f9fb-4bd0-a870-33942a7ed35f

Photo(s)


Facebook Linkedin email